ImoConstanta utilizează fişiere de tip cookie pentru a personaliza și îmbunătăți experiența ta pe Website-ul nostru. Înainte de a continua navigarea pe Website-ul nostru te rugăm să aloci timpul necesar pentru a citi și înțelege conținutul Politicii de Cookie. Prin continuarea navigării pe Website-ul nostru confirmi acceptarea utilizării fişierelor de tip cookie conform Politicii de Cookie.

Oportunitate de investiție! Teren+Hala cu venituri active

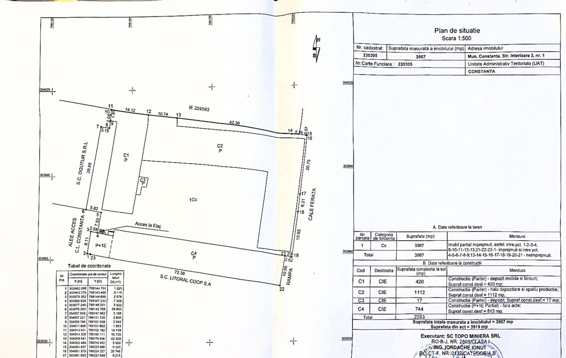
Constanta

1.000.000
  • Nr. camere:3
  • S. utila:2293.00 mp
  • S. construita:2500.00 mp
  • S. curte:3967.00 mp
  • Comp.:Open space
  • Structura rezistenta:BCA
  • Regim inaltime:P

🏭 Hală industrială închiriată de vânzare în Constanța – randament 9,35%, venituri lunare stabile și potențial de creștere

📍 Str. Interioară 3, nr. 1 – Zonă industrială activă, aproape de port și autostradă.

🔑 Oportunitate unică pentru investitori:

Proprietate industrială solidă, complet închiriată, cu venit lunar de 7.788 euro + TVA și randament brut de 9,35% anual. Situată strategic în Constanța, într-o zonă cu cerere logistică crescută și acces rapid la infrastructura rutieră și portuară, această hală este ideală pentru un investitor ce caută un activ matur cu cashflow imediat și potențial de apreciere.

📐 Date tehnice:
• 📏 Suprafață totală construită (utilă): 2.293 mp
• 🌍 Suprafață teren: 3.967 mp
• 🏗️ Construcții parter, compartimentate pentru închiriere multiplă
• 🚛 Acces auto/TIR facil, platforme betonate, curte amenajată dar si acces pe strada secundara, pietruita si betonata
• 📜 Acte la zi, intabulare, certificat energetic

💰 Performanță financiară:
• 🧾 Venituri lunare actuale (fără TVA): 7.788 euro
• 💸 Venituri anuale brute: 93.458 euro
• 📈 Randament brut: 9,35%
• 💡 Randament net estimat: ~8,5% (după taxe și mentenanță)

👥 Portofoliu chiriași activi:
• 7 chiriași stabili din domeniile logistică, transport, comerț și servicii industriale
• Chiriași precum Stemicos, Staer, Platinum Arrow, Samobi, Global Trade, Ege Spedition, Ecuador Top
• Contracte pe termen mediu-lung
• Chiria actuală între 3 – 5 euro/mp, cu posibilitate reală de ajustare ascendentă


🏗️ Potențial de dezvoltare:
• ✅ Suprafață liberă în curte – posibilitate de extindere construcții
• ✅ Posibilitate de majorare a prețului de închiriere în următorii ani
• ✅ Locație cu cerere industrială ridicată – rar disponibilă la vânzare


📍 Locație premium industrială:
• Adresă: Str. Interioară 3, nr. 1, Constanța
• Acces rapid la:
✔️ Portul Constanța
✔️ Autostrada A4
✔️ DN3 / zona CET – logistică și industrie activă

Utilitati
  • Utilitati generale: Curent, Apa, Canalizare
  • Sistem incalzire: Centrala proprie
  • Climatizare: Aer conditionat
Finisaje
  • Stare: Finisat
  • Ferestre: PVC
Dotari
  • Imobil: Curte
Bogdan Anca
Bogdan Anca
agent imobiliar
0720090392

Tomis Top Estate

Agentie imobiliara

0753822539 Vezi toate anunturile
Apeleaza Chat