ImoConstanta utilizează fişiere de tip cookie pentru a personaliza și îmbunătăți experiența ta pe Website-ul nostru. Înainte de a continua navigarea pe Website-ul nostru te rugăm să aloci timpul necesar pentru a citi și înțelege conținutul Politicii de Cookie. Prin continuarea navigării pe Website-ul nostru confirmi acceptarea utilizării fişierelor de tip cookie conform Politicii de Cookie.

Teren Intravilan Miorita - Com Berceni | utilitati: curent | #UG9E

Berceni, Sud

28.926 € + TVA
  • S. teren:350.00 mp
  • Front stradal:15.00 m
  • Nr. fronturi:1
  • Clasificare teren:Intravilan
  • Regim inaltime:P+1+M

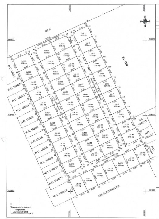
Teren intravilan cu curent electric, fibra optica, pe strada Miorita din Comuna Berceni

- suprafata de 350mp (lotul 25 din schita din imagini)
- utiliăți: curent electric, fibra optica
- acces prin strada asfaltata si stradă pietruită
- acces pasaj Berceni, metrou Tudor Arghezi

La pretul afisat se adauga TVA (21%).
Important: Imaginile sunt cu caracter informativ, iar delimitarea loturilor poate diferi in de realitate.

ComunaBerceni™ crede in verde
...de peste 10 ani impreuna

Dezvoltator imobiliar ComunaBerceni.ro - Sediul: Bd. 1 Mai 65 - Berceni, Ilfov.

Utilitati
  • Utilitati generale: Curent, Fibra optica, Utilitati in zona
Dragos Dican
Dragos Dican
agent imobiliar
0728105702

ComunaBerceni.ro

Agentie imobiliara

0722100508 Vezi toate anunturile
Apeleaza Chat