












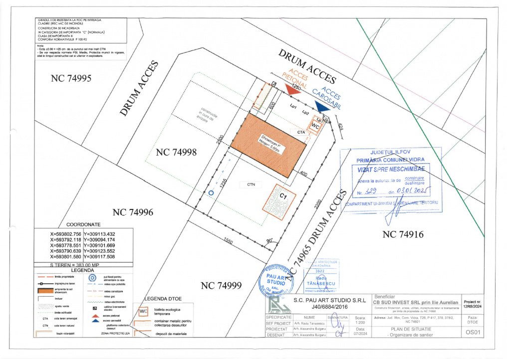
Va propunem spre vanzare 2 loturi teren de 383mp fiecare (adica in total o suprafata de 766mp) pe Calea Bucuresti intre Comuna Berceni si Comuna Vidra. Ele se vand doar impreuna. Terenul se afla la aproximativ 50ml fata de soseaua asfaltata si detine autorizatie de constructie valabila pentru hala/showroom. Posibilitate achizitie in rate direct de la dezvoltator!
Pret per lot de 383mp: 24.500 Euro + TVA (21%)
Prețurile nu includ TVA, iar avansul și ratele lunare diferă de la un proiect de loturi la altul.
Important: Imaginile sunt cu caracter informativ, iar delimitarea loturilor poate diferi in de realitate.
ComunaBerceni™ crede in verde
...de peste 10 ani impreuna
Dezvoltator imobiliar ComunaBerceni.ro - Sediul: Bd. 1 Mai 65 - Berceni, Ilfov.