











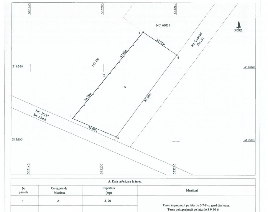
Va propunem spre vanzare un teren intravilan in suprafata de 3120mp, cu deschidere la Str. Alunis DJ 401A (profil drum 24,00m) de 39ml si deschidere la Str. Codrului De 231 (profil drum 13,00m) de 83,6ml.
Terenul are Certificat de Urbanism pentru constructia P+2+Mr si Autorizatie de Constructie pentru Spatii Comerciale cu suprafata construita de 561,16mp si suprafata utila de 492,02mp.
In acelasi timp, exista Autorizatie de Constructie pentru Banner Stradal de mari dimensiuni.
Terenul beneficiaza de toate utilitatile la limita proprietatii: curent trifazic, gaze, canalizare si apa curenta (conform AC).
Ideal pentru investitie supermarket sau bloc de apartamente! Nu se aplica TVA!